第二新亀丸 (千葉県 - 外房 - 銚子、九十九里 - 片貝新港) の公式WEB予約「24時間受付・特別割引・ポイント還元」 加盟釣り船数、釣り船予約実績No.1

お気に入り船に登録するには
会員登録またはログインが必要です

お気に入り船に登録すると
予約プラン検索や最新釣果を
お気に入り船のみの表示にすることができます

第二新亀丸 (だいにしんかめまる)

千葉県山武市  新片貝港 (しんかたかいこう)
第二新亀丸

この船の釣果一覧へ

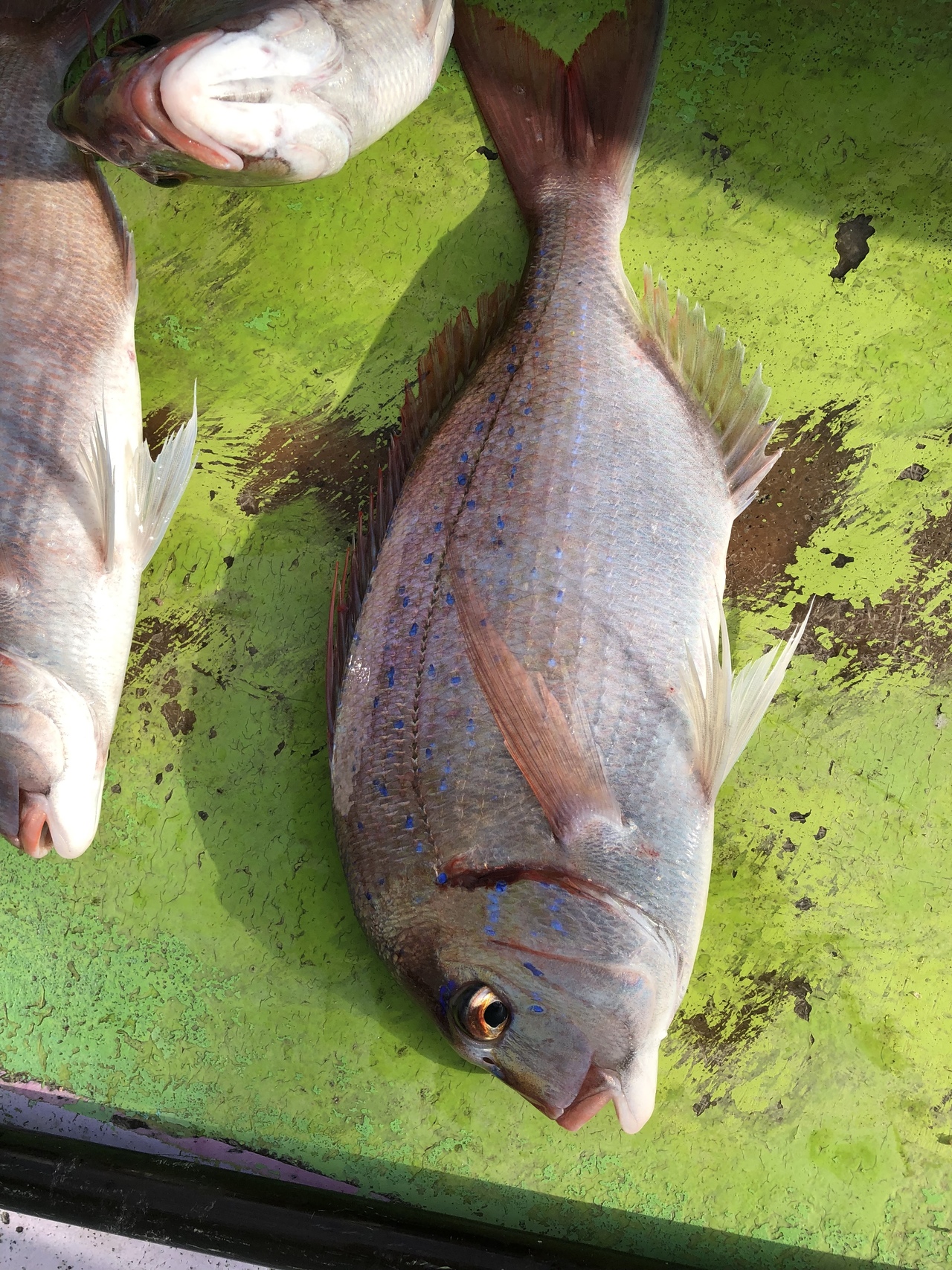
ハナダイの釣果など2025年12月2日第二新亀丸(千葉県/新片貝港)

  • 中潮

    2025年122(火)

    ハナダイ 18 - 38 cm 10 - 43 匹
    • 釣り場

      片貝沖30m大型花鯛狙う

    コメント
    『潮澄み水温安定して食い渋り後半ポツリ釣れました』
    • 天気

    • 気温

      15.4度

    • 湿度

      84%

    • 風向

      北東

    • 風速

      3.2m

    • 気圧

      1013hPa


第二新亀丸を予約した人はこんな釣り船も予約しています!

第1二三丸
第1二三丸
(千葉県・片貝旧港)
釣割価格 11,250円/人〜
第1二三丸の詳細を見る

MothershipConnection
(千葉県・木更津港)
釣割価格 6,000円/人〜
MothershipConnectionの詳細を見る
第三新生合同丸
第三新生合同丸
(千葉県・鴨川漁港)
釣割価格 7,800円/人〜
第三新生合同丸の詳細を見る
片貝旧港から出船
第三孝徳丸
(千葉県・片貝旧港)
釣割価格 12,000円/人〜
第三孝徳丸の詳細を見る
片貝旧港から出船
幸辰丸
(千葉県・片貝旧港)
釣割価格 12,000円/人〜
幸辰丸の詳細を見る