第二新亀丸 (千葉県 - 外房 - 銚子、九十九里 - 片貝新港) の公式WEB予約「24時間受付・特別割引・ポイント還元」
加盟釣り船数、釣り船予約実績No.1
お気に入り船に登録するには
会員登録またはログインが必要です
お気に入り船に登録すると
予約プラン検索や最新釣果を
お気に入り船のみの表示にすることができます
第二新亀丸 (だいにしんかめまる) |
|
千葉県山武市 新片貝港 (しんかたかいこう)
|
 |
すべて|写真あり|写真なし |
11件 中 1〜 11件表示 | 1 全1ページ |

-
大潮
2026年3月2日(月)
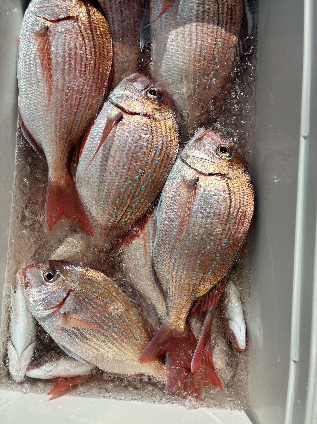
片貝沖30m大型花鯛混じり狙う

| ハナダイ |
18 - 36 cm |
10 - 30 匹 |
| クロメバル |
19 - 25 cm |
0 - 3 匹 |
|
|
|

曇


-
中潮
2026年2月22日(日)
片貝沖30m大型花鯛狙う

| ハナダイ |
18 - 43 cm |
10 - 50 匹 |
|
|
|
|
|
|

晴


-
中潮
2026年2月21日(土)
片貝沖30m大型花鯛狙う

| ハナダイ |
18 - 36 cm |
15 - 38 匹 |
|
|
|
|
|
|

雨


-
中潮
2026年2月15日(日)
片貝沖30m大型花鯛狙う


晴


-
中潮
2026年2月14日(土)
片貝沖30m大型花鯛狙う

| ハナダイ |
18 - 36 cm |
10 - 42 匹 |
|
|
|
|
|
|

晴


-
小潮
2026年2月10日(火)
片貝沖30m大型花鯛狙う

| ハナダイ |
18 - 36 cm |
13 - 40 匹 |
|
|
|
|
|
|

曇


-
中潮
2026年2月7日(土)
片貝沖30m大型花鯛狙う

| ハナダイ |
18 - 36 cm |
15 - 35 匹 |
|
|
|
|
|
|

雨


-
中潮
2026年2月6日(金)
片貝沖30mで大型花鯛狙う

| ハナダイ |
18 - 36 cm |
15 - 48 匹 |
|
|
|
|
|
|

晴


-
中潮
2026年2月5日(木)
片貝沖30m大型花鯛狙う

| ハナダイ |
18 - 37 cm |
10 - 50 匹 |
|
|
|
|
|
|

曇

すべて|写真あり|写真なし |
11件 中 1〜 11件表示 | 1 全1ページ |
『3月1日から集合4時ですよろしく
』