多部丸 (和歌山県 - 紀北 - 加太 - 加太港) の公式WEB予約「24時間受付・特別割引・ポイント還元」
加盟釣り船数、釣り船予約実績No.1
お気に入り船に登録するには
会員登録またはログインが必要です
お気に入り船に登録すると
予約プラン検索や最新釣果を
お気に入り船のみの表示にすることができます
多部丸 (たべまる) |
|
和歌山県和歌山市 加太港 (かだこう)
|
 |
すべて|写真あり|写真なし |
47件 中 1〜 20件表示 | 1 | 2 | 3 全3ページ 次の20件 » |

-
中潮
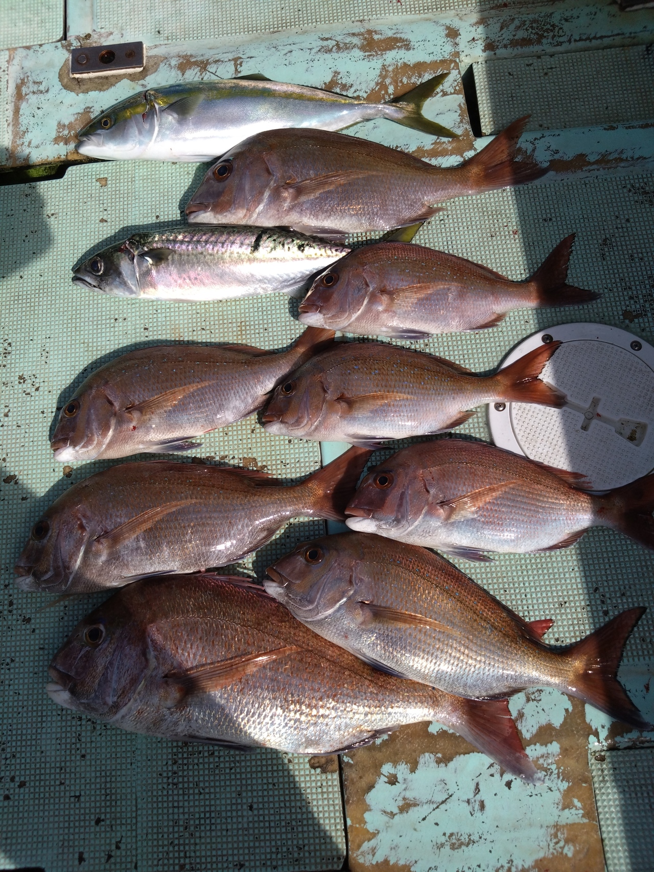
2025年11月9日(日)
友ケ島周辺
姫路の広畑さん
| タイ |
34 - 40 cm |
合計 6 匹 |
| メジロ |
68 cm |
合計 1 匹 |
| ハマチ |
48 cm |
合計 1 匹 |

-


-
中潮
2025年11月9日(日)
友ケ島周辺
兵庫の島原さん
| タイ |
41 - 71 cm |
合計 3 匹 |
| イサギ |
35 cm |
合計 1 匹 |
|
|
|

-


-
中潮
2025年11月8日(土)
友ケ島周辺
大阪の北川さん(初めての方)
| タイ |
35 - 47 cm |
合計 7 匹 |
| メジロ |
68 cm |
合計 1 匹 |
| ハマチ |
46 - 48 cm |
合計 2 匹 |

晴


-
中潮
2025年11月8日(土)
友ケ島周辺
大阪の岩田さん(初めての方)
| タイ |
41 cm |
合計 1 匹 |
| サワラ |
88 cm |
合計 1 匹 |
| メジロ |
67 - 68 cm |
合計 2 匹 |

晴


-
大潮
2025年11月6日(木)
友ケ島周辺
大阪の大門さん
| タイ |
37 - 56 cm |
合計 8 匹 |
| ハマチ |
50 cm |
合計 1 匹 |
| サバ |
46 cm |
合計 1 匹 |

雨


-
大潮
2025年11月6日(木)
友ケ島周辺
大阪の西谷さん
| タイ |
34 - 53 cm |
合計 6 匹 |
| ハマチ |
46 cm |
合計 1 匹 |
|
|
|

雨


-
大潮
2025年11月6日(木)
友ケ島周辺
大阪の上池さん
| タイ |
37 - 50 cm |
合計 4 匹 |
| サバ |
41 - 48 cm |
合計 4 匹 |
| ハマチ |
47 - 52 cm |
合計 3 匹 |

雨


-
大潮
2025年11月5日(水)
友ケ島周辺
大阪の津田さん
| タイ |
30 - 45 cm |
合計 4 匹 |
| メジロ |
67 cm |
合計 1 匹 |
| ハマチ |
51 cm |
合計 1 匹 |

曇


-
大潮
2025年11月4日(火)
友ケ島周辺
和歌山の林さん
| タイ |
36 - 51 cm |
合計 4 匹 |
| メジロ |
70 cm |
合計 1 匹 |
| アジ |
44 cm |
合計 1 匹 |

曇


-
中潮
2025年11月2日(日)
友ケ島周辺
和歌山の日野さん
| タイ |
40 - 43 cm |
合計 2 匹 |
| メジロ |
71 cm |
合計 1 匹 |
| アジ |
30 - 45 cm |
合計 4 匹 |

曇


-
中潮
2025年11月1日(土)
友ケ島周辺
大阪の丸谷さん
| タイ |
44 - 48 cm |
合計 2 匹 |
| メジロ |
71 cm |
合計 1 匹 |
| ハマチ |
50 cm |
合計 1 匹 |

曇


-
中潮
2025年11月1日(土)
友ケ島周辺
兵庫の日野さん
| サワラ |
73 cm |
合計 1 匹 |
| メジロ |
68 cm |
合計 1 匹 |
|
|
|

曇


-
長潮
2025年10月30日(木)
友ケ島周辺
大阪の泰中さん
| タイ |
38 cm |
合計 1 匹 |
| サバ |
37 - 51 cm |
合計 17 匹 |
| アジ |
30 - 46 cm |
合計 3 匹 |

晴


-
長潮
2025年10月30日(木)
友ケ島周辺
大阪の三田村さん
| メジロ |
73 cm |
合計 1 匹 |
| サバ |
35 - 44 cm |
合計 14 匹 |
| アジ |
45 - 47 cm |
合計 6 匹 |

晴


-
長潮
2025年10月30日(木)
友ケ島周辺
和歌山の北出さん
| タイ |
37 cm |
合計 1 匹 |
| サバ |
36 - 46 cm |
合計 17 匹 |
| アジ |
33 - 45 cm |
合計 3 匹 |

晴


-
小潮
2025年10月29日(水)
友ケ島周辺
大阪の上野さん
| サワラ |
76 cm |
合計 1 匹 |
| サバ |
36 - 45 cm |
合計 16 匹 |
| アジ |
45 - 46 cm |
合計 2 匹 |

晴


-
小潮
2025年10月29日(水)
友ケ島周辺
大阪の根来さん
| メジロ |
71 cm |
合計 1 匹 |
| サバ |
36 - 44 cm |
合計 17 匹 |
|
|
|

晴


-
小潮
2025年10月28日(火)
友ケ島周辺
京都の遠藤さん(兄)
| タイ |
33 - 43 cm |
合計 2 匹 |
| アジ |
33 - 40 cm |
合計 4 匹 |
| サバ |
43 - 46 cm |
合計 3 匹 |

晴


-
小潮
2025年10月28日(火)
友ケ島周辺
京都の遠藤さん(弟)
| タイ |
31 - 43 cm |
合計 2 匹 |
| アジ |
31 - 44 cm |
合計 4 匹 |
| サバ |
41 - 44 cm |
合計 3 匹 |

晴

すべて|写真あり|写真なし |
47件 中 1〜 20件表示 | 1 | 2 | 3 全3ページ 次の20件 » |
『ありがとうございました!
』