海斗丸 (和歌山県 - 紀北 - 加太 - 加太港) の公式WEB予約「24時間受付・特別割引・ポイント還元」
加盟釣り船数、釣り船予約実績No.1
お気に入り船に登録するには
会員登録またはログインが必要です
お気に入り船に登録すると
予約プラン検索や最新釣果を
お気に入り船のみの表示にすることができます
海斗丸 (かいとまる) |
|
和歌山県和歌山市 加太港 (かだこう)
|
 |
すべて|写真あり|写真なし |
22件 中 1〜 20件表示 | 1 | 2 全2ページ 次の20件 » |

-
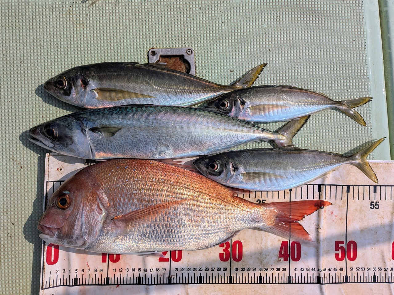
長潮
2026年2月12日(木)
友ヶ島周辺
海斗丸竜児
| タイ |
48 cm |
合計 1 匹 |
| マサバ |
49 cm |
合計 1 匹 |
| アジ |
31 - 39 cm |
合計 3 匹 |

-


-
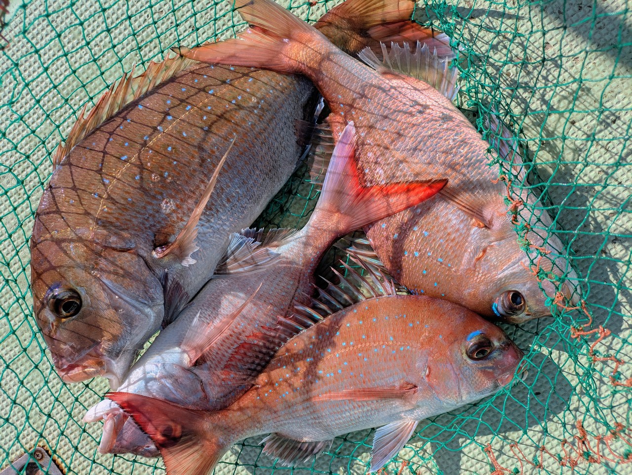
小潮
2026年2月11日(水)
友ヶ島周辺
和田さん
| タイ |
40 - 55 cm |
合計 5 匹 |
| アジ |
40 cm |
合計 1 匹 |
|
|
|

-


-
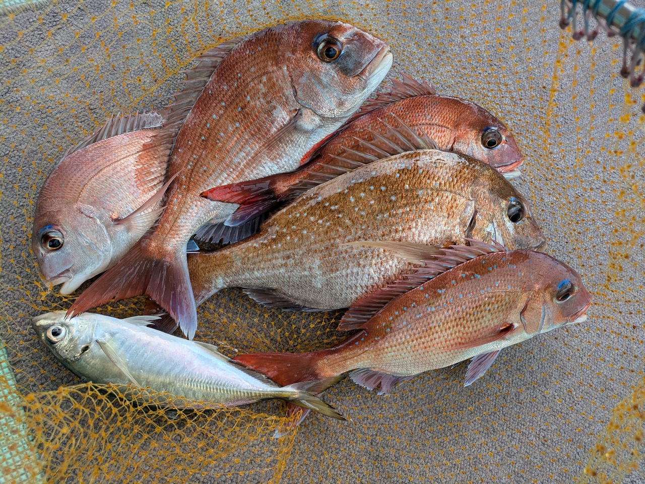
小潮
2026年2月10日(火)
友ヶ島周辺
海斗丸竜児
| タイ |
40 - 57 cm |
合計 9 匹 |
| アジ |
42 cm |
合計 1 匹 |
|
|
|

曇


-
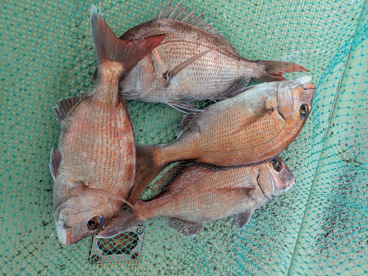
小潮
2026年2月9日(月)
友ヶ島周辺
法島さん
| タイ |
50 - 60 cm |
合計 3 匹 |
| アジ |
26 - 30 cm |
合計 3 匹 |
|
|
|

晴


-
中潮
2026年2月5日(木)
友ヶ島周辺
森さん
| タイ |
46 - 57 cm |
合計 2 匹 |
| アジ |
26 - 31 cm |
合計 2 匹 |
|
|
|

曇


-
大潮
2026年2月4日(水)
友ヶ島周辺
富士本さん
| タイ |
57 - 59 cm |
合計 2 匹 |
| アジ |
27 - 30 cm |
合計 3 匹 |
|
|
|

晴


-
大潮
2026年2月2日(月)
友ヶ島周辺
内さん

晴


-
大潮
2026年2月1日(日)
友ヶ島周辺
橋本さん

晴


-
中潮
2026年1月31日(土)
友ヶ島周辺
和田さん

曇


-
長潮
2026年1月28日(水)
友ヶ島周辺
海斗丸
| タイ |
42 - 68 cm |
合計 8 匹 |
| アジ |
27 - 35 cm |
合計 5 匹 |
|
|
|

晴


-
小潮
2026年1月27日(火)
友ヶ島周辺
海斗丸
| タイ |
43 - 53 cm |
合計 3 匹 |
| スズキ |
68 cm |
合計 1 匹 |
| アジ |
41 - 44 cm |
合計 13 匹 |

曇


-
小潮
2026年1月26日(月)
友ヶ島周辺
海斗丸
| アジ |
40 - 45 cm |
合計 15 匹 |
| アジ |
37 cm |
合計 1 匹 |
| マサバ |
45 cm |
合計 1 匹 |

曇


-
中潮
2026年1月24日(土)
友ヶ島周辺
堀田さん
| タイ |
35 - 49 cm |
合計 4 匹 |
| ウマズラハゲ |
35 cm |
合計 1 匹 |
|
|
|

雨


-
中潮
2026年1月21日(水)
友ヶ島周辺
海斗丸

曇


-
大潮
2026年1月20日(火)
友ヶ島周辺
海斗丸
| タイ |
30 - 57 cm |
合計 7 匹 |
| チダイ |
27 - 33 cm |
合計 4 匹 |
|
|
|

曇


-
大潮
2026年1月19日(月)
友ヶ島周辺
海斗丸竜児
| タイ |
30 - 50 cm |
合計 6 匹 |
| チダイ |
30 cm |
合計 1 匹 |
|
|
|

晴


-
大潮
2026年1月18日(日)
友ヶ島周辺
海斗丸竜児

晴


-
大潮
2026年1月18日(日)
友ヶ島周辺
四方さん

晴


-
大潮
2026年1月17日(土)
友ヶ島周辺
ぴるさん

晴


-
中潮
2026年1月15日(木)
友ヶ島周辺
海斗丸
| タイ |
27 - 48 cm |
合計 10 匹 |
| メジロ |
71 cm |
合計 1 匹 |
| アジ |
38 - 40 cm |
合計 2 匹 |

曇

すべて|写真あり|写真なし |
22件 中 1〜 20件表示 | 1 | 2 全2ページ 次の20件 » |
『ありがとうございました!
』