お気に入り船に登録するには
会員登録またはログインが必要です

お気に入り船に登録すると
予約プラン検索や最新釣果を
お気に入り船のみの表示にすることができます

全国版最新釣果情報

釣果を検索

所在地
釣行日 日から
日まで
釣行日

※釣り船名(ひらがな可)の一部で検索できます。

港名

※港名(ひらがな可)の一部で検索できます。

釣り人名

魚名

※カタカナで入力

釣果を検索

最新釣果情報TOPへ

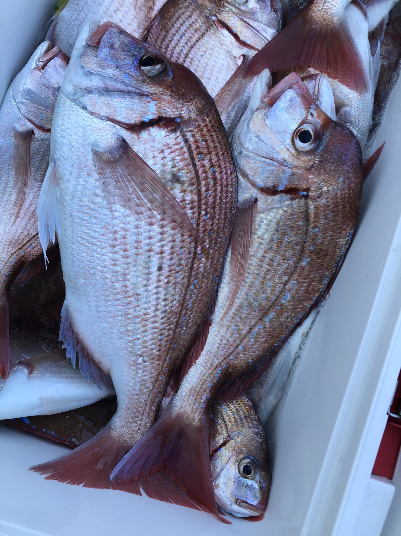
ハナダイの釣果など2025年12月11日第二新亀丸(千葉県/新片貝港)

第二新亀丸(だいにしんかめまる) この船の全ての釣果をみる 釣り船詳細&予約プラン

  • 小潮

    2025年1211(木)

    ハナダイ 18 - 38 cm 20 - 50 匹
    • 釣り場

      片貝沖30m大型花鯛狙う

    コメント
    『潮濁り水温下り食い渋り後半大型花鯛混じって釣れました』
    • 天気

    • 気温

      12.1度

    • 湿度

      70%

    • 風向

      西南西

    • 風速

      4.7m

    • 気圧

      1015hPa