金沢八景 黒川丸 (神奈川県 - 東京湾 - 金沢区 - 金沢八景州崎) の公式WEB予約「24時間受付・特別割引・ポイント還元」 加盟釣り船数、釣り船予約実績No.1

お気に入り船に登録するには
会員登録またはログインが必要です

お気に入り船に登録すると
予約プラン検索や最新釣果を
お気に入り船のみの表示にすることができます

金沢八景 黒川丸 (かなざわはっけい くろかわまる)

神奈川県横浜市  金沢八景平潟 (かなざわはっけいひらがた)
金沢八景 黒川丸

この船の釣果一覧へ

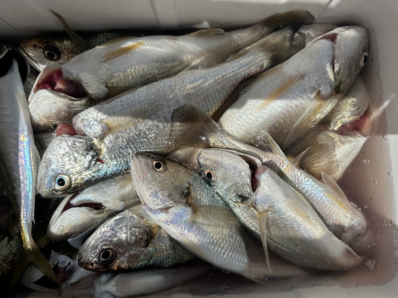
アジの釣果など2026年4月20日金沢八景 黒川丸(神奈川県/金沢八景平潟)

  • 中潮

    2026年420(月)

    アジ 17 - 25 cm 30 - 73 匹
    イシモチ 23 - 32 cm 11 - 33 匹
    コメント
    『◆午前アジ
    近場ポイントの30m前後狙い小ぶりも多数入りましたが魚影濃く食い活発でした

    ◆ショートイシモチ
    本牧沖を狙い25〜30cm主体の良型でそろいました。他にシロギス、アジ交じりました。』
    • 天気

    • 気温

      19.2度

    • 湿度

      63%

    • 風向

      南南東

    • 風速

      3.0m

    • 気圧

      1016hPa

  • 本牧沖イシモチ


金沢八景 黒川丸を予約した人はこんな釣り船も予約しています!

大津漁港から出船
まるまつ丸
(神奈川県・大津漁港)
釣割価格 7,000円/人〜
まるまつ丸の詳細を見る
平塚新港より出船
かりゆし丸
(神奈川県・平塚新港)
釣割価格 5,000円/人〜
かりゆし丸の詳細を見る
金沢平潟湾から出船
荒川屋
(神奈川県・金沢八景平潟)
釣割価格 9,500円/人〜
荒川屋の詳細を見る
金沢八景から出船中
村本海事
(神奈川県・金沢八景乙舳)
釣割価格 7,500円/人〜
村本海事の詳細を見る
金沢八景平潟湾から出船
野毛屋釣船店
(神奈川県・金沢八景平潟)
釣割価格 6,500円/人〜
野毛屋釣船店の詳細を見る