つり滝 (千葉県 - 東京湾奥(千葉) - 千葉 - 船橋港) の公式WEB予約「24時間受付・特別割引・ポイント還元」 加盟釣り船数、釣り船予約実績No.1

お気に入り船に登録するには
会員登録またはログインが必要です

お気に入り船に登録すると
予約プラン検索や最新釣果を
お気に入り船のみの表示にすることができます

つり滝 (つりたき)

千葉県船橋市  船橋港 (ふなばしこう)
つり滝

この船の釣果一覧へ

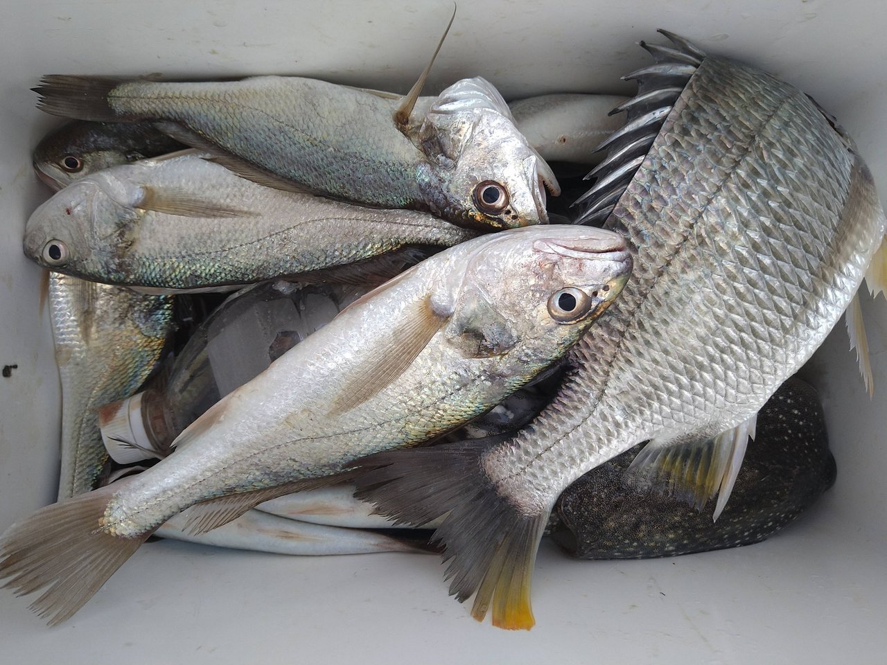
イシモチの釣果など2026年3月16日つり滝(千葉県/船橋港)

  • 中潮

    2026年316(月)

    イシモチ 20 - 30 cm 12 - 17 匹
    キチヌ
    コメント
    『20〜24m。
    曇り気味で肌寒かったですね。
    底潮が濁ってる様で単発のアタリが多かったです。』
    • 天気

      曇り

    • 気温

      10.1度

    • 湿度

      62%

    • 風向

      北東

    • 風速

      2.7m

    • 気圧

      1020hPa


つり滝を予約した人はこんな釣り船も予約しています!

千葉県上総湊港より出船中
福丸
(千葉県・上総湊港)
釣割価格 8,500円/人〜
福丸の詳細を見る
上総湊港より出船
加平丸
(千葉県・上総湊港)
釣割価格 8,437円/人〜
加平丸の詳細を見る
旧江戸川沿いから出船
F×F TOKYO BAY
(千葉県・江戸川放水路)
釣割価格 15,333円/人〜
F×F TOKYO BAYの詳細を見る
江戸川放水路から出船
林遊船
(千葉県・江戸川放水路)
釣割価格 9,500円/人〜
林遊船の詳細を見る
厚木の真間川沿いから出船
洋平丸
(千葉県・真間川)
釣割価格 11,000円/人〜
洋平丸の詳細を見る