大成 (兵庫県 - 淡路島 - 淡路島西部 - 育波浦漁港) の公式WEB予約「24時間受付・特別割引・ポイント還元」 加盟釣り船数、釣り船予約実績No.1

お気に入り船に登録するには
会員登録またはログインが必要です

お気に入り船に登録すると
予約プラン検索や最新釣果を
お気に入り船のみの表示にすることができます

大成 (たいせい)

兵庫県淡路市  育波漁港 (いくはぎょこう)
大成

この船の釣果一覧へ

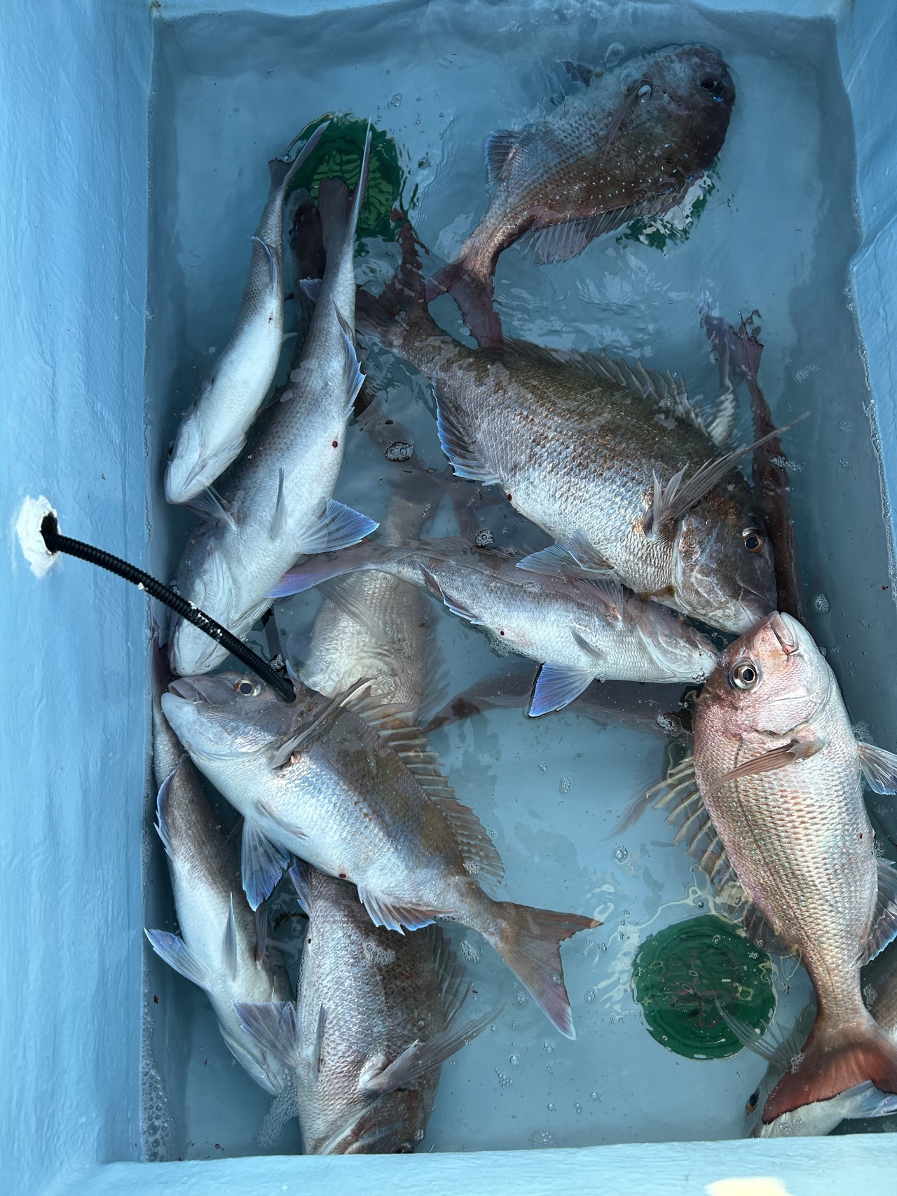
タイの釣果など2026年3月8日大成(兵庫県/育波漁港)

  • 中潮

    2026年38(日)

    タイ 35 - 53 cm 7 - 11 匹
    • 釣り場

      超近場 室津沖 海苔棚

    • 釣り人

      乗り合い 仲良し3名様にて

    コメント
    『この日はあまり期待出来ない朝一の潮と読んでましたが
    終始竿曲がり
    朝一の時合いでは落とせば食ってくるって感じでした
    開始1時間で17匹と中盤以降もポロポロと暇しない程度に釣れてくれました
    11:30納竿』
    • 天気

    • 気温

      5.9度

    • 湿度

      52%

    • 風向

      北北東

    • 風速

      4.0m

    • 気圧

      1025hPa


大成を予約した人はこんな釣り船も予約しています!

神戸マリーナから出船
1091丸(神戸マリーナ店)
(兵庫県・神戸マリーナ)
釣割価格
1091丸(神戸マリーナ店)の詳細を見る
育波漁港から出船
釣船 内良(絆奈丸)
(兵庫県・育波漁港)
釣割価格 9,000円/人〜
釣船 内良(絆奈丸)の詳細を見る
明石港より出船
海蓮丸
(兵庫県・明石港)
釣割価格 5,000円/人〜
海蓮丸の詳細を見る
育波漁港から出船
釣り船カネモ
(兵庫県・育波漁港)
釣割価格 7,700円/人〜
釣り船カネモの詳細を見る
育波漁港から出船
新栄丸
(兵庫県・育波漁港)
釣割価格 7,700円/人〜
新栄丸の詳細を見る