豊漁丸 (神奈川県 - 相模湾 - 平塚 - 平塚港) の公式WEB予約「24時間受付・特別割引・ポイント還元」 加盟釣り船数、釣り船予約実績No.1

お気に入り船に登録するには
会員登録またはログインが必要です

お気に入り船に登録すると
予約プラン検索や最新釣果を
お気に入り船のみの表示にすることができます

豊漁丸 (ほうりょうまる)

神奈川県平塚市  平塚漁港 (ひらつかこう)
豊漁丸

この船の釣果一覧へ

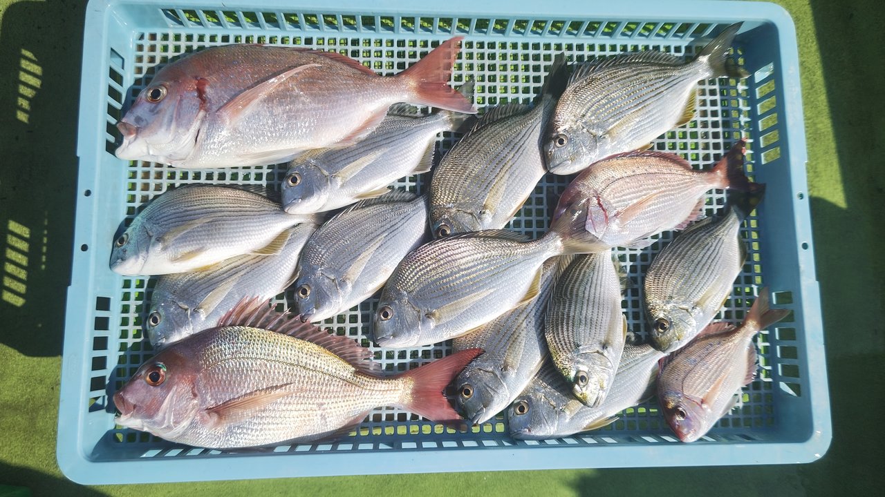
ヘダイの釣果など2026年2月15日豊漁丸(神奈川県/平塚漁港)

  • 中潮

    2026年215(日)

    ヘダイ 23 - 28 cm 2 - 11 匹
    マダイ
    ハナダイ 合計 8 匹
    イナダ
    アジ
    • 釣り場

      平塚沖 20〜60m

    コメント
    『ヘダイ五目船。ヘダイ、マダイ、ハナダイ、イナダ、アジなどが釣れました。』
    • 天気

    • 気温

      12.6度

    • 湿度

      64%

    • 風向

      南南西

    • 風速

      2.7m

    • 気圧

      1014hPa


豊漁丸を予約した人はこんな釣り船も予約しています!

金沢八景乙舳から出船
太田屋
(神奈川県・金沢八景乙舳)
釣割価格
太田屋の詳細を見る
平塚新港より出船
かりゆし丸
(神奈川県・平塚新港)
釣割価格 9,500円/人〜
かりゆし丸の詳細を見る
平塚新港から出船
第三かりゆし丸
(神奈川県・平塚新港)
釣割価格 8,333円/人〜
第三かりゆし丸の詳細を見る
新山下から出船
広島屋
(神奈川県・横浜港新山下)
釣割価格 8,000円/人〜
広島屋の詳細を見る
登喜丸
登喜丸
(神奈川県・平塚漁港)
釣割価格 8,000円/人〜
登喜丸の詳細を見る