つり滝 (千葉県 - 東京湾奥(千葉) - 千葉 - 船橋港) の公式WEB予約「24時間受付・特別割引・ポイント還元」 加盟釣り船数、釣り船予約実績No.1

お気に入り船に登録するには
会員登録またはログインが必要です

お気に入り船に登録すると
予約プラン検索や最新釣果を
お気に入り船のみの表示にすることができます

つり滝 (つりたき)

千葉県船橋市  船橋港 (ふなばしこう)
つり滝

この船の釣果一覧へ

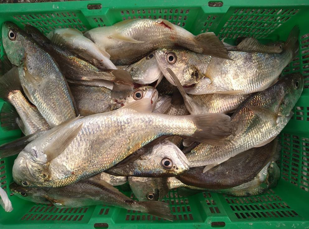
イシモチの釣果など2025年12月6日つり滝(千葉県/船橋港)

  • 大潮

    2025年126(土)

    イシモチ
    コメント
    『仕立船。』
    • 天気

    • 気温

      8.1度

    • 湿度

      51%

    • 風向

      北西

    • 風速

      1.3m

    • 気圧

      1023hPa


つり滝を予約した人はこんな釣り船も予約しています!


MothershipConnection
(千葉県・木更津港)
釣割価格 6,000円/人〜
MothershipConnectionの詳細を見る
旧江戸川沿いから出船
F×F TOKYO BAY
(千葉県・江戸川放水路)
釣割価格 15,333円/人〜
F×F TOKYO BAYの詳細を見る
第三新生合同丸
第三新生合同丸
(千葉県・鴨川漁港)
釣割価格 7,800円/人〜
第三新生合同丸の詳細を見る
江戸川放水路から出船
林遊船
(千葉県・江戸川放水路)
釣割価格 9,500円/人〜
林遊船の詳細を見る
厚木の真間川沿いから出船
洋平丸
(千葉県・真間川)
釣割価格 11,000円/人〜
洋平丸の詳細を見る