大春丸 (茨城県 - 鹿島灘 - 鹿嶋 - 鹿嶋港) の公式WEB予約「24時間受付・特別割引・ポイント還元」 加盟釣り船数、釣り船予約実績No.1

お気に入り船に登録するには
会員登録またはログインが必要です

お気に入り船に登録すると
予約プラン検索や最新釣果を
お気に入り船のみの表示にすることができます

大春丸 (だいはるまる)

茨城県鹿嶋市  鹿嶋旧港 (かしまきゅうこう)
大春丸

この船の釣果一覧へ

ヒラメの釣果など2025年12月7日大春丸(茨城県/鹿嶋旧港)

  • 中潮

    2025年127(日)

    ヒラメ 0.50 - 2.80 kg 0 - 5 匹
    • 釣り場

      鹿島沖30m前後

    • 釣り人

      三郷市の山本さん他

    • オモリ

      100号

    コメント
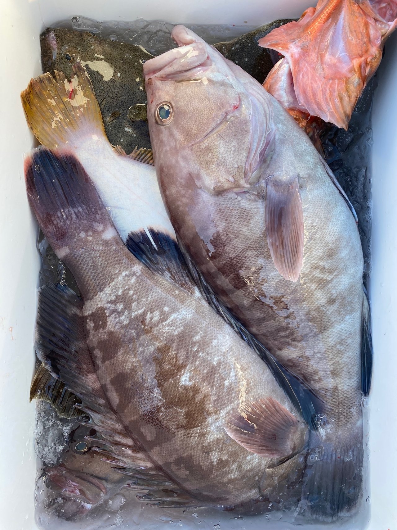
    『ヒラメ船出船!

    釣果(3隻での高低差)
    0〜5匹(竿頭飯能市の四宮さん・入間市の遠藤さん・足立区の谷川さん
    諏訪町の中村さん)
    サイズ
    0.5〜2.80kg
    状況
    今日のヒラメ船は潮が流れず、水色も悪く苦戦でしたが
    外道の良型マハタ多数・カサゴ・メバル・イナダ・ソイ等が多く掛かり
    うれしいお土産ができました。
    明日もヒラメ船出船です。
    現在5名様です。
    皆様のご予約をお待ちしております。』
    • 天気

    • 気温

      6.5度

    • 湿度

      67%

    • 風向

      南東

    • 風速

      1.3m

    • 気圧

      1018hPa


大春丸を予約した人はこんな釣り船も予約しています!

鹿嶋旧港から出船
幸栄丸
(茨城県・鹿嶋旧港)
釣割価格 10,000円/人〜
幸栄丸の詳細を見る
鹿島港から出船
長岡丸
(茨城県・鹿嶋旧港)
釣割価格 12,100円/人〜
長岡丸の詳細を見る
鹿嶋港から出船
清栄丸
(茨城県・鹿嶋旧港)
釣割価格 12,100円/人〜
清栄丸の詳細を見る
植田丸
植田丸
(茨城県・鹿嶋旧港)
釣割価格 10,000円/人〜
植田丸の詳細を見る
ことぶき丸
ことぶき丸
(茨城県・会瀬漁港)
釣割価格 8,571円/人〜
ことぶき丸の詳細を見る