淡隆丸 (和歌山県 - 紀北 - 加太 - 加太港) の公式WEB予約「24時間受付・特別割引・ポイント還元」 加盟釣り船数、釣り船予約実績No.1

お気に入り船に登録するには
会員登録またはログインが必要です

お気に入り船に登録すると
予約プラン検索や最新釣果を
お気に入り船のみの表示にすることができます

淡隆丸 (たんりゅうまる)

和歌山県和歌山市  加太港 (かだこう)
淡隆丸

この船の釣果一覧へ

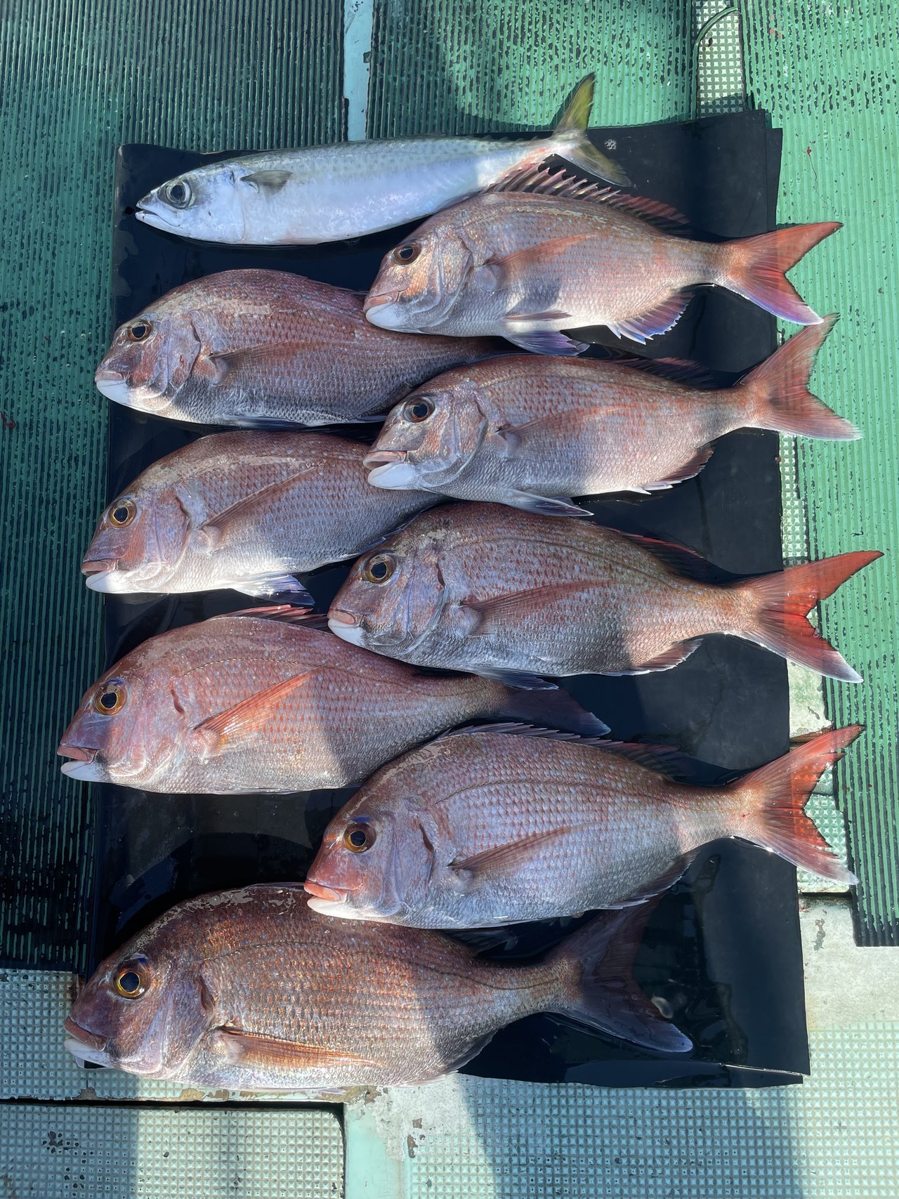
マダイの釣果など2025年12月1日淡隆丸(和歌山県/加太港)

  • 中潮

    2025年121(月)

    マダイ 35 - 43 cm 合計 8 匹
    • 釣り場

      加太沖・友ヶ島周辺

    • 釣り人

      古瀬さま

    コメント
    『☆未明は寒いですが、陽が上がると初夏のような陽気になりました。もう師走なんですけどね。

    ★さて今朝は転流前後からのスタートです。朝マズメは空振りでしたが、朝日が射し込んでくると、その後は断続的にマダイを釣っていただくことができました。

    ☆本日はどうもありがとうございました。』
    • 天気

    • 気温

      14.6度

    • 湿度

      72%

    • 風向

      東北東

    • 風速

      3.1m

    • 気圧

      1017hPa


淡隆丸を予約した人はこんな釣り船も予約しています!

加太港から出船
金比羅丸
(和歌山県・加太港)
釣割価格 7,000円/人〜
金比羅丸の詳細を見る
市堀川沿いから出船
海虎
(和歌山県・市堀川沿い)
釣割価格 6,428円/人〜
海虎の詳細を見る
加太港から出船
一栄丸
(和歌山県・加太港)
釣割価格 12,000円/人〜
一栄丸の詳細を見る
和歌山港市堀川沿いから出船
虎丸
(和歌山県・市堀川沿い)
釣割価格 9,428円/人〜
虎丸の詳細を見る
加太港から出船
角漁丸
(和歌山県・加太港)
釣割価格 7,000円/人〜
角漁丸の詳細を見る