淡隆丸 (和歌山県 - 紀北 - 加太 - 加太港) の公式WEB予約「24時間受付・特別割引・ポイント還元」 加盟釣り船数、釣り船予約実績No.1

お気に入り船に登録するには
会員登録またはログインが必要です

お気に入り船に登録すると
予約プラン検索や最新釣果を
お気に入り船のみの表示にすることができます

淡隆丸 (たんりゅうまる)

和歌山県和歌山市  加太港 (かだこう)
淡隆丸

この船の釣果一覧へ

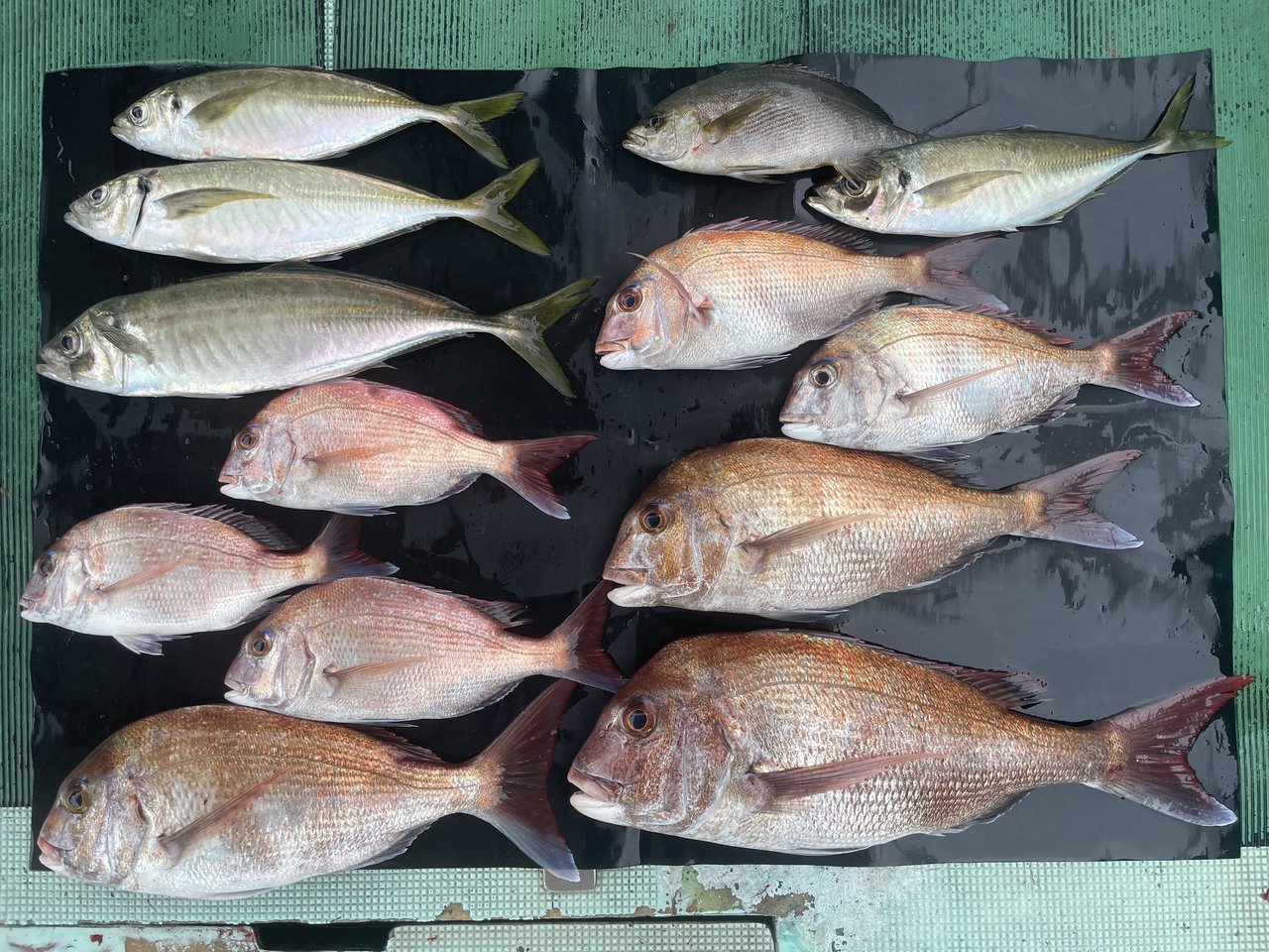
マダイの釣果など2025年10月12日淡隆丸(和歌山県/加太港)

  • 中潮

    2025年1012(日)

    マダイ 31 - 57 cm 4 - 4 匹
    マアジ 34 - 48 cm 1 - 3 匹
    イサキ 33 cm 合計 1 匹
    • 釣り場

      加太沖・友ヶ島周辺

    • 釣り人

      松本さま 村上さま

    コメント
    『☆今度の台風は直前の台風に比べて勢力が弱く、距離が離れているので、直接的な影響がなく、当地では風は吹きませんでした。

    ★今朝は下り潮からのスタートです。朝マズメは下り潮の終盤にあたり、魚影は浮いていましたがヒットしませんでした。

    ☆その後、転流してからマダイとアジを釣っていただくことができました。サイズは不揃いでしたが、マダイは57cmの見事な良型があがり、アジも48cmの鬼アジがあがりました。良型で数が揃えばいいのですが思い通りにはいきません。

    ★きょうはあいにくの曇り空で、一時は雨に降られてしまい、お客様が濡れてしまいました。ぐずついた天気のなかどうもありがとうございました。』
    • 天気

    • 気温

      24.9度

    • 湿度

      81%

    • 風向

    • 風速

      2.7m

    • 気圧

      1011hPa


淡隆丸を予約した人はこんな釣り船も予約しています!

加太港から出船
角漁丸
(和歌山県・加太港)
釣割価格 7,000円/人〜
角漁丸の詳細を見る
加太港から出船
一栄丸
(和歌山県・加太港)
釣割価格 12,000円/人〜
一栄丸の詳細を見る
加太港から出船
多部丸
(和歌山県・加太港)
釣割価格 12,000円/人〜
多部丸の詳細を見る
加太港から出船
金比羅丸
(和歌山県・加太港)
釣割価格 7,000円/人〜
金比羅丸の詳細を見る
和歌山港市堀川沿いから出船
勝丸
(和歌山県・市堀川沿い)
釣割価格 5,555円/人〜
勝丸の詳細を見る