良栄丸 (和歌山県 - 中紀 - 印南 - 印南漁港) の公式WEB予約「24時間受付・特別割引・ポイント還元」 加盟釣り船数、釣り船予約実績No.1

お気に入り船に登録するには
会員登録またはログインが必要です

お気に入り船に登録すると
予約プラン検索や最新釣果を
お気に入り船のみの表示にすることができます

良栄丸 (りょうえいまる)

和歌山県日高郡印南町  印南港 (いなみこう)
良栄丸

この船の釣果一覧へ

マダイの釣果など2025年9月30日良栄丸(和歌山県/印南港)

  • 小潮

    2025年930(火)

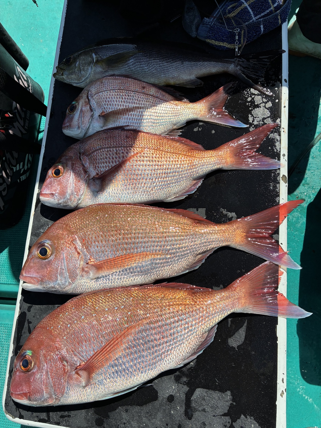
    マダイ 28 - 43 cm 合計 11 匹
    チダイ 34 cm 合計 1 匹
    メイチダイ 33 cm 合計 1 匹
    • 釣り場

      印南沖

    • 釣り人

      小倉様ら

    コメント
    『オキアミ釣りに出船しました!
    今日は良型真鯛混じりでポロッと釣れました!
    40オーバー真鯛も混じりました!
    外れたのもありましたが船中真鯛、チダイ12枚。
    メイチダイにカイワリ、デカイサギの釣果に!
    明日も出船します!
    空いてます。
    ご予約受付中です!
    気軽にお問い合わせ下さいm(__)m』
    • 天気

    • 気温

      23.7度

    • 湿度

      67%

    • 風向

    • 風速

      2.3m

    • 気圧

      1012hPa

  • 小倉様。

  • 小倉様の釣果です!

  • 今川様。

  • 今川様の釣果です!

  • 濱やんの釣果です!

  • 良型真鯛ゲット!

  • メイチダイゲット!


良栄丸を予約した人はこんな釣り船も予約しています!

市堀川沿いから出船
海虎
(和歌山県・市堀川沿い)
釣割価格 6,428円/人〜
海虎の詳細を見る
市堀川沿いから出船
第十八利蜂丸
(和歌山県・市堀川沿い)
釣割価格 7,500円/人〜
第十八利蜂丸の詳細を見る
印南漁港から出船
優勝丸
(和歌山県・印南港)
釣割価格 2,400円/人〜
優勝丸の詳細を見る
印南港から出船
いなみ丸
(和歌山県・印南港)
釣割価格 13,000円/人〜
いなみ丸の詳細を見る
印南港から出船
木下丸
(和歌山県・印南港)
釣割価格 11,000円/人〜
木下丸の詳細を見る